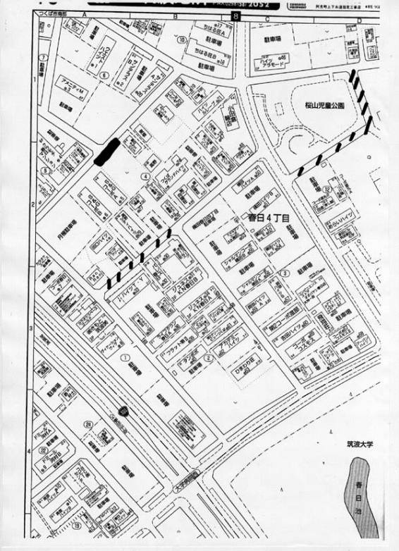
春日4丁目の現地調査
斜線は特に路上駐車がひどい地区
実線は特にごみがひどい地区